En septiembre de 2002, el huracán Isidoro golpeó con fuerza la Península de Yucatán, dejando a su paso una estela de devastación que marcó la historia de la región. Con vientos intensos, lluvias torrenciales y marejadas que superaron las previsiones, este fenómeno natural provocó daños materiales millonarios, inundaciones severas y afectaciones profundas en comunidades urbanas y rurales.
Su impacto fue tan fuerte que transformó el paisaje, paralizó actividades económicas y puso a prueba la capacidad de respuesta de autoridades y habitantes ante uno de los huracanes más destructivos que ha vivido Yucatán.
Te puede interesar:
Formación y desarrollo
El Huracán Isidoro se formó el 14 de septiembre de 2002 como la décima depresión tropical de la temporada, originándose a partir de una onda tropical en la costa suroeste de la Isla Trinidad, a 2,950 kilómetros al este-sureste de las costas de Quintana Roo. El sistema inicialmente presentó vientos máximos sostenidos de 45 km/h y una presión mínima de 1,009 hPa.
Después de un período de debilitamiento que lo convirtió nuevamente en onda tropical, el sistema se regeneró cerca de Jamaica el 18 de septiembre, desarrollándose en tormenta tropical con el nombre de "Isidoro". El fenómeno continuó intensificándose y alcanzó la categoría de huracán categoría I el 19 de septiembre al ubicarse al suroeste de Cuba, con vientos máximos de 120 km/h.
Trayectoria hacia Yucatán
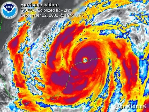
El 20 de septiembre, Isidoro alcanzó la categoría II con vientos sostenidos de 165 km/h mientras se encontraba cerca de las costas de Cuba. El 21 de septiembre se intensificó a categoría III, posicionándose a 120 kilómetros al este-noreste de Cabo Catoche, Quintana Roo.

El huracán siguió una trayectoria errática con rumbo al oeste, desplazándose lentamente en forma paralela a la costa norte de Yucatán. Llegó al estado de Yucatán el 22 de septiembre a las 02:00 horas, situándose inicialmente al norte de la localidad El Cuyo, del municipio de Tizimín.

El impacto en tierra de Isidoro
A las 17:00 horas del 22 de septiembre de 2002, el ojo del huracán Isidoro tocó tierra en Telchac Puerto, aproximadamente a 45 kilómetros al este de Progreso, con categoría III en la escala Saffir-Simpson. En el momento del impacto, presentaba:
- Vientos máximos sostenidos: 205 km/h
- Rachas máximas: 250 km/h
- Presión mínima central: 934 hPa
- Diámetro del ojo: 18 kilómetros
El huracán mantuvo una velocidad de desplazamiento extremadamente lenta, iniciando con 13 km/h y reduciéndose hasta 4 km/h. Isidoro permaneció prácticamente estacionario durante períodos prolongados, especialmente entre las 16:00 y 19:00 horas del 22 de septiembre, entre las localidades de Oxkutzcab, Akil y Maní.
La lenta destrucción
El huracán permaneció sobre tierra durante 35 horas continuas, desde su entrada el 22 de septiembre hasta su salida al mar la madrugada del 24 de septiembre. Durante este período, se mantuvo como huracán por aproximadamente 14 horas y como tormenta tropical por cerca de 21 horas.
Las lluvias fueron extraordinariamente intensas y persistentes. En Mérida se registraron 217.7 mm de precipitación, mientras que en Oxkutzcab alcanzaron los 240.0 mm. Las precipitaciones máximas en 24 horas incluyeron:
- Palizada, Campeche: 236.5 mm
- Mérida: 48.5 mm durante el día más crítico
- Oxkutzcab: 85.0 mm el 23 de septiembre

Inédita evacuación en Yucatán
Se implementó el operativo de evacuación más grande en la historia del estado, movilizando a 68,000 personas de la zona costera. La evacuación se realizó con:
- 604 autobuses y minibuses proporcionados por el gobierno estatal
- 34,400 personas puestas en resguardo
- 33,900 personas evacuadas a otros municipios
- 7,700 personas alojadas en refugios temporales
Impacto Específico en Mérida
Daños a la Vivienda
En la ciudad de Mérida se registraron daños en 13,384 viviendas, distribuidos de la siguiente manera:
- Daños menores: 3,078 viviendas
- Daños parciales: 7,495 viviendas
- Destrucción total: 2,811 viviendas

Infraestructura y Servicios
La capital yucateca sufrió un corte total del suministro eléctrico que dejó a sus 750,000 habitantes a oscuras, dependiendo únicamente de la radio para mantenerse informados. Las calles quedaron obstruidas por:
- Árboles caídos
- Postes de luz derribados
- Cables eléctricos y telefónicos
- Estructuras fragmentadas
- Techos de lámina volados por el viento
Víctimas y Damnificados
El huracán Isidoro causó 4 muertes directas en Yucatán:
- Tres personas fallecieron en accidentes de tráfico
- Una persona murió de un infarto mientras trataba de salvar sus pertenencias
- Un niño resultó gravemente herido al caer sobre él un techo de aluminio
Se estima que más de 400,000 yucatecos se vieron afectados severamente en su patrimonio, representando aproximadamente la cuarta parte de la población del estado. El fenómeno dejó 500,000 damnificados y más de 15,000 casas dañadas en todo el estado.

Empleo
Se pusieron en riesgo 23,500 empleos, principalmente del sector primario. Afortunadamente, solo se perdieron definitivamente menos de 700 empleos (2.9% de los empleos en riesgo).
La recuperación y reconstrucción
Servicios Básicos
Los servicios de agua potable y electricidad tardaron hasta dos semanas en restablecerse completamente. En el sector turístico, el 92% de los cuartos de hotel contaron con energía eléctrica a solo tres días del fenómeno.
Programa de Vivienda
Se implementó un ambicioso programa de reconstrucción con 1,450 millones de pesos del FONDEN, que incluyó:
- Construcción de pies de casa de 22.3 metros cuadrados con baño y fosa séptica
- Entrega de 4,975,000 láminas de cartón para reparaciones de emergencia
- 78,000 cobertores y 28,600 colchones para damnificados

Limpieza y Empleo Temporal
Se invirtieron más de 71 millones de pesos en un programa de empleo temporal emergente que ocupó a 58,895 personas en labores de limpieza en los 85 municipios afectados.
Legado Histórico
El nombre "Isidore" fue retirado de la lista de nombres de huracanes por la Organización Meteorológica Mundial en la primavera de 2003, siendo sustituido por "Ike". Este fenómeno meteorológico marcó un antes y un después en la historia de Yucatán, demostrando tanto la vulnerabilidad de la región ante huracanes intensos como la capacidad de recuperación de sus habitantes.
